Trung tâm phòng tránh và giảm nhẹ thiên tai

Trung tâm Chính sáchvà Kỹ thuật phòng chống thiên tai

Giao diện dễ tiếp cận vietnam english
Đăng nhập

Quản lý - Hợp tác - Cùng hành động

  • Trang chủ
  • Giới thiệu
    • Giới thiệu
    • Cơ cấu tổ chức
    • Chức năng - nhiệm vụ
    • Chiến lược phát triển
  • Tin tức
    • Tin Trong nước - Quốc tế
    • Bản tin Trung tâm
  • Trung tâm Thông tin
    • Sự kiện thiên tai
    • Kiến thức cơ bản
    • Cơ sở dữ liệu
      • Chính sách và Kỹ thuật PCTT
      • CSDL Ngân hàng cát ĐBSCL
      • CSDL Dân sinh kinh tế
      • CSDL Viễn thám
      • Thiệt hại và nhu cầu
      • Đề án nâng cao nhận thức CĐ
        • Ma trận dự án
        • Mạng lưới hỗ trợ kỹ thuật
        • Tài liệu Đề án 1002
          • Văn bản pháp quy
          • Tài liệu tham khảo
          • Tài liệu truyền thông
        • Theo dõi & đánh giá
        • Đánh giá RRTT-DVCĐ
          • Bản đồ RRTT-DVCĐ
          • Bản đồ khác
          • Báo cáo đánh giá
        • Kế hoạch phòng chống thiên tai
      • Hệ thống giám sát thiên tai
      • Hệ thống giám sát camera
      • CSDL không gian
    • Thư viện ảnh
    • Dự án Nông thôn mới
      • Cổng thông tin điện tử
      • Sản phẩm dự án Nông thôn mới
    • Công khai ngân sách nhà nước
  • Đối tác
  • Dự án
  • Lịch công tác
  1. Tin tức
  2. Trang tin chi tiết
  • Share this on Facebook
  • Share this on Twitter
  • Share this on GooglePlus

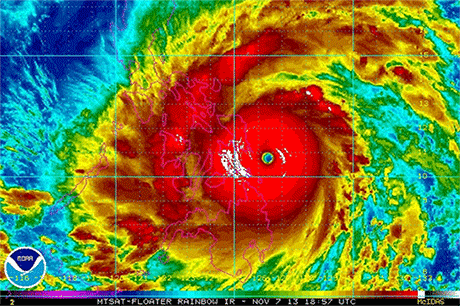
Siêu bão mạnh nhất thế giới tăng tốc độ, giảm sức gió

14:46:0, 08/11/2013 Haiyan, cơn bão mạnh nhất trong năm qua, đang tàn phá tỉnh Iloilo, Philippines với sức gió ở tâm bão giảm từ 379 km/h xuống 230 km/h nhưng di chuyển với tốc độ lớn hơn.

AFP dẫn lời Cơ quan Khí quyển, Địa lý và Thiên văn Philippines (PAGASA) cho biết, từ phía tây Thái Bình Dương, siêu bão Haiyan ập vào đảo Samar thuộc miền trung nước này vào khoảng 4h40 sáng nay với tốc độ 235 km/h và di chuyển rất nhanh theo hướng tây bắc. Gió trong tâm bão có thể đạt tới tốc độ 380 km/h. PAGASA cảnh báo rằng với tốc độ ấy, Haiyan sẽ gây nên thiệt hại rất lớn. Trung tâm Cảnh báo bão của hải quân Mỹ nhận định Haiyan là cơn bão mạnh nhất thế giới từ đầu năm tới nay.

 
 
 

Ủy ban Quản lý và Giảm nhẹ nguy cơ thảm họa quốc gia Philippines xác nhận hai người đã thiệt mạng vì siêu bão, Sun Star cho biết.

Hôm qua Tổng thống Benigno Aquino đã cảnh báo người dân chuẩn bị sớm và chu đáo cho việc chống bão Haiyan.

"Các quan chức địa phương nên biết rằng bão Haiyan cực kỳ nguy hiểm. Vì thế các vị hãy thực hiện mọi việc cần thiết trước khi bão chưa tới. Chúng ta có thể giảm thiểu thiệt hại do bão gây nên nếu chúng ta giúp đỡ lẫn nhau. Mọi người hãy mua nhu yếu phẩm và tìm nơi an toàn để tránh bão", ông Aquino nói.

Aquino nói thêm rằng siêu bão Haiyan có thể khiến nước sông tràn bờ, gây lở đất và tạo nên những con sóng biển với độ cao tới 6 m.

"Ba máy bay vận tải quân sự, hai tàu hải quân, nhiều trực thăng và xuồng cứu hộ đã sẵn sàng hỗ trợ các vùng hứng bão", Tổng thống Aquino nói.
 
 
 Ngư dân khiêng thuyền tới nơi an toàn hôm 7/11 để tránh bão Haiyan tại Ormoc, Philippines
 
Khoảng một triệu người tại 22 tỉnh mà mà bão Haiyan sẽ tràn qua đã sơ tán tới các trung tâm do chính phủ dựng lên hoặc những nơi an toàn. Chính quyền đóng cửa mọi trường học trong những vùng chịu ảnh hưởng của bão, cấm mọi phà hoạt động và yêu cầu ngư dân không ra khơi. Tại thủ đô Manila, nơi bão không tràn qua nhưng vẫn chịu ảnh hưởng của bão, nhiều trường học cũng ngừng hoạt động.

"Chúng tôi rất sợ vì người ta nói nước biển sẽ dâng. Mọi người ở đây đã cảm nhận được sức mạnh của gió. Giờ đây những người sơ tán đã nêm chật ngôi trường của chúng tôi. Vô số cây ven biển đã đổ", một giáo viên tiểu học mang tên Feliza tại tỉnh Leyte ở phía nam Philippines nói trên đài phát thanh.

 
 
Romeo Cajulis, nhà khí tượng của chính phủ Philippines, nói rằng Haiyan sẽ tràn qua nhiều đảo ở miền trung Philippines với tốc độ 39 km/h trong hơn 10 giờ tới trước khi tiến ra Biển Đông vào buổi tối nay hoặc sáng mai. Sức mạnh của nó sẽ giảm nhẹ sau khi tràn qua đất liền, nhưng PAGASA nhận định nó vẫn là siêu bão rất mạnh trong quá trình càn quét Philippines.

Giới chuyên gia khí tượng cho biết, siêu bão Haiyan lớn đến nỗi nó tác động tới 2/3 diện tích lãnh thổ Philippines./.

Tin liên quan

  • Đẩy mạnh chuyển đổi số trong ngành quan trắc khí tượng
  • Mưa đá làm bị thương 04 người, gây thiệt hại nặng về nông nghiệp ở Lào Cai
  • Người Hà Nội bịt kín mít đối phó với nắng nóng ngột ngạt đầu mùa
  • Hướng dẫn ứng phó với xâm nhập mặn
  • Hướng dẫn ứng phó nắng nóng
  • Nghệ An cho phép các trường chủ động điều chỉnh giờ học do nắng nóng gay gắt
  • Ghi nhận thương vong trong trận động đất tại Indonesia
  • Thủ tướng Phạm Minh Chính chủ trì Hội nghị toàn quốc về phòng chống thiên tai
  • Động đất độ lớn 7,4 ở Indonesia, ban hành cảnh báo sóng thần
  • Mưa dông gây thiệt hại về người và tài sản tại Sơn La

 

  • Hệ thống giám sát thiên tai Việt Nam (VNDMS)

  • CSDL Quản lý rủi ro thiên tai dựa vào cộng đồng (Đề án 553)

  • CSDL Dân sinh kinh tế

  • CSDL Bản đồ sạt lở bờ sông, xói lở bờ biển

  • CSDL Không gian

  • CSDL Thư viện Chính sách và Kỹ thuật PCTT

  • CSDL Thiệt hại

  • CSDL Viễn thám

  • CSDL Khoa học công nghệ

  • Phần mềm hướng dẫn phổ biến kiến thức trực tuyến về PCTT

  • Trang Chuyển đổi số trong lĩnh vực Quản lý đê điều và Phòng, chống thiên tai

  • Phần mềm quản lý và giám sát camera

  • Phần mềm hỗ trợ xây dựng phương án ứng phó thiên tai

Thông tin thời tiết

Bản quyền © 2015 - Trung tâm Chính sách và Kỹ thuật phòng, chống thiên tai

Địa chỉ: Số 54 ngõ 102 Trường Chinh - Kim Liên - Hà Nội

Điện thoại: +84-436291511 - Fax: +84-437336647

Email: trungtamcsktpctt@gmail.com - Website: www.dmptc.gov.vn

Số người online: 487

Tổng số lượt truy cập: 97414